00件
最近見た物件
00件
検討リスト
上尾の不動産|K’sエステート株式会社イオンハウジングイオンモール上尾店 > 桶川市上日出谷南4期
「桶川市上日出谷南4期」:桶川市エリアの新居にピッタリ。歩いて500mの場所に、ヤオコー 桶川上日出谷店があります。お勧めの好条件の購入価格2,699万円の物件です。新築の戸建て物件です。地域に特化した当社では、高崎線桶川周辺の不動産情報も豊富に取り扱っております。住まい探しをするなら、お気軽にお声かけください。











(※元利均等方式 金利5.00%まで ※返済年数5~50年まで入力できます)
(※ボーナスは年2回で計算しています。1000万円まで入力できます)
(※物件購入時、その他諸費用が発生する場合がございます)
| 所在地 | 埼玉県桶川市上日出谷南3丁目 | ||
|---|---|---|---|
| 交通 | |||
| 間取り/詳細 | 4LDK/ | 建物面積(坪数) | 96.88㎡(29.3坪) |
| 価格 | 2,399万円 | ||
| 駐車場/月額料金 | 有(2台)/- | ||
| 土地の敷金/保証金 | -/- | 借地料/借地期間 | -/- |
| 土地権利 | 所有権 | 土地面積(坪数) | 165.15㎡(49.95坪) |
| 傾斜地部分面積 | - | 路地状敷地 | - |
| 私道負担面積/セットバック | -/- | 高圧線下面積 | - |
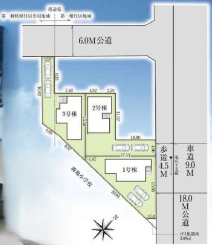
| 地目/地勢 | 宅地/- | 接道状況 | 角地(北東 公道 18.0m)(北西 公道 6.0m) |
| 建ぺい率/容積率 | 60%/200% | 用途地域 | 第一種住居/第一種低層住居専用 |
| 都市計画 | 市街化区域 | 種別/構造 | 新築一戸建/木造 |
| 階建 | 2階建 | 築年月(築年数) | 2025年 10月 (新築) |
| 総区画数/販売区画数 | 3区画/3区画 | 向き | - |
| 現況 | 完成済み | その他の法令上の制限 | 文化財保護法/景観法/宅地造成及び特定盛土等規制法 |
| 取引態様/引渡時期 | 仲介/相談 | 建築確認番号 | - |
| 物件番号 | 100581885 | 取引条件の有効期限 | 2026年02月09日 |
| 設備条件 |
|
||
| 備考 | 歩いて500mの場所に、ヤオコー 桶川上日出谷店があります。ゆとりのあるスペースが魅力のウォークインクロゼットです。浴室乾燥機のあるお風呂場は洗濯物を干すときにも便利です。ご家族やパートナーとの快適な暮らしを実現させるためには、住まいの環境はとても重要になってきます。お気に入りの住居を当社で見つけませんか。ぜひ当社の利用をご検討ください。 | ||
| 取扱会社 |
|
||
| QRコード |
このQRコードを読み取ることで、スマホでも物件情報を確認できます。 |
||
※地図上に表示される物件の位置は付近住所に所在することを表すものであり、実際の物件所在地とは異なる場合がございます。
桶川市上日出谷南4期に関するこだわり条件から探す
桶川市にある駅から探す
桶川市上日出谷南4期周辺の駅から探す